
The proposal to bring the first Menards in the Kansas City area to the abandoned Kmart site at Shawnee Mission Parkway and Antioch could be another huge boon to Merriam’s sales tax base — but the idea appears to have a number of detractors from the surrounding neighborhoods.
More than two dozen area residents attended a community meeting at Merriam city hall Wednesday to hear an overview of the project from Menards Real Estate Representative Tyler Edwards and share their views on the proposal.
Over the course of the hour long meeting, neighbors expressed concerns with the height of the property, noise from trucks and forklifts, and potential parking issues.
“We went through a number of ideas for that space,” said Janet Speery, who lives in the neighborhood just east of the property across Antioch, of the visioning meetings the city had hosted for potential uses of the property. “And big box store wasn’t at the top of that list. We were hoping for some green space.”
“The site’s been vacant for a long time,” he said. “The thinking is, we could hold out for our dream, or we could look at another strong option that we have in front of us now.”
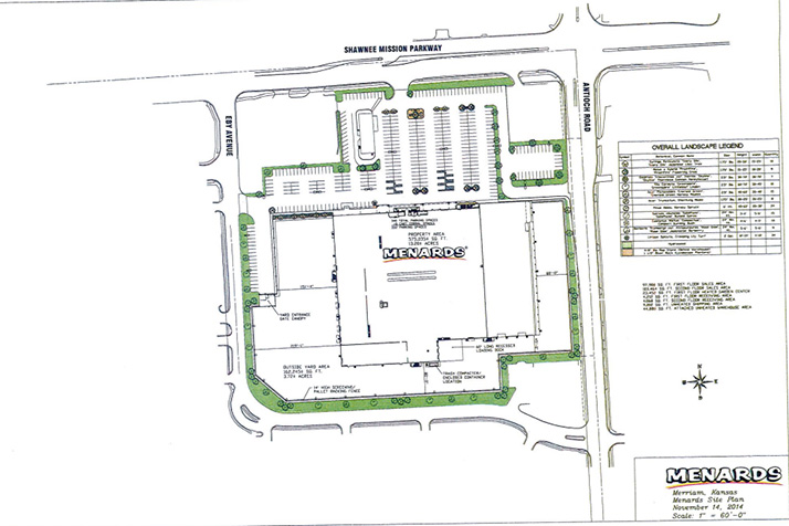
The development still has quite a ways to go before becoming a reality. It requires approval from the city’s planning commission and council before building permits can be issued. Edwards said he anticipated that, if all goes according to plan, construction on the facility would begin in late spring 2015 with a targeted opening date of January or February 2016.
The facility is expected to bring approximately 200 jobs to the area.
“All of the hires are local, except for managers which we bring in from other stores,” Edwards said.







