The Merriam City Council on Monday evening approved an ordinance expanding its Interstate 35 tax increment financing district to include the former Kmart site along Shawnee Mission Parkway.

Since Kmart closed in January 2013, the vacant site has deteriorated significantly — including the roof, the facade and finishes like the now inoperable doors, according to city documents.
Over the past decade, multiple redevelopment plans for the site have fallen through, including a plan for a Menards hardware store and a subsequent project put together by Block and Co.
Now, Overland Park-based real estate developer Drake Development is eyeing the site — and will be seeking TIF incentives.
Mayor Ken Sissom said the public hearing and formal consideration of the expansion was an important part of the city council meeting, as it could make way for a new redevelopment plan on the site.

“We’re thinking about amending a TIF district’s boundaries to allow for the development of the Kmart site, which has sat vacant, and I would say blighted, for maybe eight or 10 years,” Sissom said. “As a city, we’re trying to make this site a little more attractive to potential developers, and I think it’s an important thing for us to consider.”

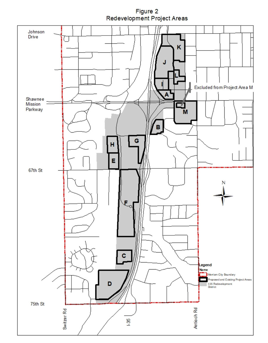
The last time the city council amended the I-35 TIF District was to include project “L,” which was for the development of the parking structure for the Merriam Community Center and what will be the relocated Antioch library branch next door.
With the approval of the TIF district expansion, Community Development Director Bryan Dyer said the following are the next potential steps:
- Merriam would create a redevelopment agreement with a developer, which doesn’t have to be Drake Development.
- The city and the developer would then create a TIF project plan for the Kmart site, dubbed project area “M.”
- After that, a feasibility study would be conducted to determine if the project is a good fit for TIF.
- The planning commission would then hold a public hearing for any rezoning requests and the development plan.
- Finally, the city council would consider a redevelopment agreement, a project area “M” plan, rezoning requests and a development plan all at once.
Still, the TIF district expansion doesn’t mean the city will be required to approve a TIF deal specifically for Drake.
Dyer assured the city council that as a result of the site’s poor state — from the topographical issues to the substantial grading issues — any developer will likely request public financing.
“Whether it’s Drake [Development] or a different developer that wants to redevelop this site, it’s going to take a public-private partnership,” Dyer said.
Dyer said a tax increment financing application will be submitted by the developer soon, if it hasn’t already been submitted.
After the public hearing Monday, the city council unanimously waived the first reading of the ordinance and unanimously approved the expansion.






